Descripción
-
Descripción:
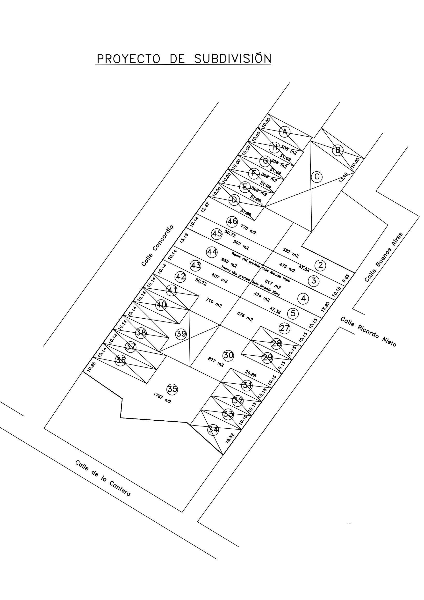
Segunda Etapa de venta de lotes sobre calle Concordia y Buenos Aires. Lotes a partir de los 480m2 hasta los 900m2 y la posibilidad de ampliar
En Gualeguaychú. A metros de la rotonda de la terminal de ómnibus y de la Estación de Servicio YPF.
✅ Servicios de luz, agua, cloacas, gas natural en la esquina y asfalto en los lotes sobre calle Concordia.
Lotes sobre calle Concordia:
- Lote: 35, 1787 m². USD 90.000
- Lote: 42, 710 m². USD 45.000
- Lote: 43, 507 m². USD 36.000
- Lote: 44, 659 m². USD 46.000
- Lote: 45, 507 m². USD 36.000
- Lote: 46, 775 m². USD 46.000Lotes sobre calle Buenos Aires:
Mostrar toda la descripción
- Lote: 2, 592 m². USD 35.000
- Lote: 3, 475 m². USD 30.000
- Lote: 4, 617 m². USD 39.000
- Lote: 5, 474 m². USD 30.000
- Lote: 27, 676 m². USD 40.000
- Lote: 30, 877 m². USD 45.000
Ubicación
- Localidad: Gualeguaychú

